REQUEST A TOUR If you would like to see this home without being there in person, select the "Virtual Tour" option and your agent will contact you to discuss available opportunities.
In-PersonVirtual Tour

$835,000
Est. payment /mo
1 Sqft Lot
UPDATED:
Key Details
Property Type Vacant Land
Listing Status Active
Purchase Type For Sale
MLS Listing ID HD25264451
HOA Y/N No
Lot Size 1 Sqft
Property Description
Prime Industrial Development Opportunity in Hesperia, CA
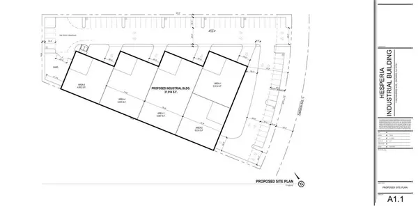
Introducing a 1.83-acre I-2 zoned industrial parcel in the thriving city of Hesperia, California. This site comes fully entitled for a 31,914 square foot industrial building, as detailed in the attached site plan. Strategically located along Darwin Avenue, the property offers excellent access to major transportation corridors, including Interstate 15 and U.S. Highway 395, facilitating efficient logistics and distribution operations. This property presents an exceptional opportunity for developers and investors seeking to capitalize on Hesperia's expanding industrial market. The combination of existing entitlements, strategic location, and supportive business climate positions this site as a prime candidate for industrial development.
Introducing a 1.83-acre I-2 zoned industrial parcel in the thriving city of Hesperia, California. This site comes fully entitled for a 31,914 square foot industrial building, as detailed in the attached site plan. Strategically located along Darwin Avenue, the property offers excellent access to major transportation corridors, including Interstate 15 and U.S. Highway 395, facilitating efficient logistics and distribution operations. This property presents an exceptional opportunity for developers and investors seeking to capitalize on Hesperia's expanding industrial market. The combination of existing entitlements, strategic location, and supportive business climate positions this site as a prime candidate for industrial development.
Location
State CA
County San Bernardino
Area Hsp - Hesperia
Zoning I-2
Interior
Fireplace No
Exterior
Community Features Dog Park, Fishing, Golf
Utilities Available Cable Available, Electricity Available, Natural Gas Available, Phone Available, Water Available, Sewer Not Available
View Y/N Yes
View Desert
Building
Lot Description Lot Over 40000 Sqft, Level, Rectangular Lot, Street Level
Sewer None
Water Public
New Construction No
Others
Senior Community No
Tax ID 0415251080000
Acceptable Financing Cash, 1031 Exchange, Submit
Listing Terms Cash, 1031 Exchange, Submit
Special Listing Condition Standard
Read Less Info

Listed by Matthew Hijazin Klick Realty 760-628-4247
MORTGAGE CALCULATOR
Use our home loan calculator to estimate your total mortgage payment, including taxes and insurance. Simply enter the price of the home, your down payment, and details about the home loan, to calculate your mortgage payment, schedule, and more.
Payment
Schedule
Your mortgage payments over 30 years will add up to $0.
Get more info from a local expert!
Serving Southern California
Customized quick search tools to explore nearby zip codes, cities, and neighborhoods in your favorite destinations
- Home For Sale in Los Angeles County HOT
- Home For Sale in San Diego County HOT
- Home For Sale in San Bernardino County HOT
- Home For Sale in Orange County HOT
- Home For Sale in Riverside County HOT
- Homes For Sale in Los Angeles, CA HOT
- Homes For Sale in Beverly Hills, CA
- Homes For Sale in West Hollywood, CA HOT
- Homes For Sale in Culver City, CA
- Homes For Sale in San Fernando, CA
- Homes For Sale in Burbank, CA
- Homes For Sale in Pasadena, CA
- Homes For Sale in San Diego, CA HOT
- Homes For Sale in Oceanside, CA HOT
- Homes For Sale in Newport Beach, CA
- Homes For Sale in Costa Mesa, CA HOT
- Homes For Sale in Huntington Beach, CA
- Homes For Sale in Anaheim, CA
- Homes For Sale in Riverside, CA HOT
- Homes For Sale in Temecula, CA HOT
- Homes For Sale in Murrieta, CA HOT
- Homes For Sale in Menifee, CA
- Homes For Sale in Moreno Valley, CA
- Homes For Sale in Hemet, CA
- Homes For Sale in San Jacinto, CA
- Homes For Sale in San Bernardino, CA HOT
- Homes For Sale in Big Bear City, CA
- Homes For Sale in Orange, CA HOT
- Homes For Sale in Palm Springs, CA HOT
- Homes For Sale in La Quinta, CA
Serving Arizona
Custom Quick Search Tools To Explore Nearby Zip Codes, Cities & Neighborhoods In Your Preferred Destinations
- Home For Sale in Phoenix, AZ
- Home For Sale in Arizona City, AZ
- Home For Sale in Mesa, AZ
- Home For Sale in Chandler, AZ
- Home For Sale in Gilbert, AZ
- Home For Sale in Glendale, AZ
- Home For Sale in Scottsdale, AZ
- Home For Sale in Tempe, AZ
- Home For Sale in Peoria, AZ
- Home For Sale in Surprise, AZ
- Home For Sale in Sahuarita, AZ
- Home For Sale in Oro Valley, AZ
- Home For Sale in Tucson, AZ
- Home For Sale in Prescott, AZ
- Home For Sale in Sedona, AZ
- Home For Sale in Flagstaff, AZ
- Home For Sale in Yuma, AZ
- Home For Sale in Mohave, AZ
- Home For Sale in Cochise, AZ
- Home For Sale in Yavapai, AZ
- Home For Sale in Gila, AZ
More



